Building the New Bladensburg
Building the New Bladensburg Bus Garage
Metro is rebuilding and modernizing the Bladensburg Bus Garage, a facility rich in history and with strong ties to neighboring communities. Designed to complement the Bladensburg area's evolving landscape, the reconstructed garage will consolidate three existing buildings into one modern, environmentally friendly bus maintenance and operations facility. The new garage is expected to open in early 2028, and will continue to provide reliable service to our customers throughout the District of Columbia and parts of Maryland while helping to bring Metro closer to its zero-emission goals.
Project Schedule
The following timeline details Metro's process for design, review and approval, and construction of the new Bladensburg Bus Garage. All dates reflect the latest project status and are subject to change.
| Awarded Contract | April 21, 2020 |
| Notice to Proceed for Pre-Construction Services | July 9, 2020 |
| Completed Federal Environmental Review Process | July 2, 2020 |
| Complete Section 106 | March 2021 - May 2024 |
| Notice to Proceed for Demolition and Construction | July 19, 2021 |
| Phase 1 Construction of Maintenance Facility | July 2021 - July 2025 |
| Start of Phase 1 Demolition | January 28, 2022 |
| Phase 2 Construction of Employee Parking Structure | August 2025 - April 2027 |
| Phase 3 Construction of Remaining Bus Parking | May 2027 - March 2028 |
| Project Completion | Spring 2028 |
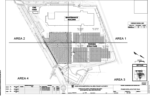
Phased Construction Approach
A three-phased demolition and construction process allows the facility to remain open during its transformation to a state-of-the-art garage with brand new maintenance and support facilities:
Phase 1 | July 2021 - July 2025 | Reconstruct Maintenance Facility
- Demolition of the heavy overhaul maintenance shop
- Construction of new two-level facility
- Construction of new employee entrance
- Construct half of pedestrian bridge connecting Maintenance and Operations Building to Parking Structure
Phase 2 | August 2025 - April 2027 | Build New Employee Parking Structure and Bus Entrance
- Demolition of bus fueling facility and operating garages
- Construction of two-tier parking structure for WMATA employees and buses
- Construct remaining half of pedestrian bridge connecting Maintenance and Operations Building to Parking Structure OR Complete pedestrian bridge connecting Maintenance and Operations Building to Parking Structure
- New bus entrance
Phase 3 | May 2027 - March 2028 | Work on Remaining Bus Parking
- Expansion of parking structure
- Complete paving and site finishes
A.
![]() |
B.
|
Project Timeline

